Listed by Peter Powell of Peter W. Powell Real Estate
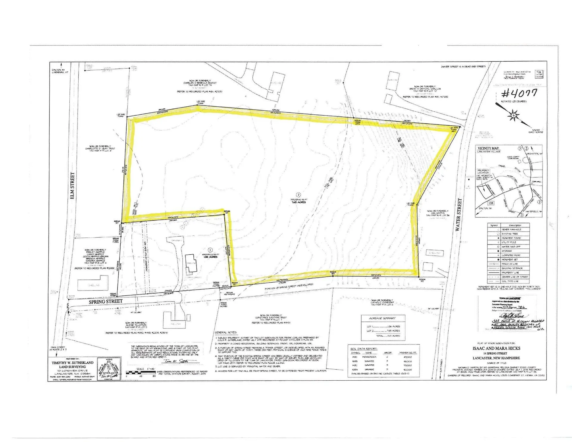
LANCASTER: 7.65 acres zoned residential with town water and sewer available from Spring Street. Located only ¼ mile from Main Street, an easy walk or bike ride to shops, cafes and restaurants. This is an excellent location for desirable, working family housing that will meet community need and allow local families to own their own homes and be a part of the community. Utility and street upgrades required. $159,000

Listing Tools

Property Details of 000 Spring Street

Property Details

Map Location

Broker Reciprocity 

Copyright 2025 PrimeMLS, Inc. All rights reserved. This information is deemed reliable, but not guaranteed. The data relating to real estate displayed on this display comes in part from the IDX Program of PrimeMLS. The information being provided is for consumers’ personal, non-commercial use and may not be used for any purpose other than to identify prospective properties consumers may be interested in purchasing. Data last updated November 17, 2025 7:23 AM EST

 

Hi there! How can we help you?

Contact us using the form below or give us a call.

Send Us A Message:

I agree to receive marketing and customer service calls and text messages from Susan Bradley. To opt out, you can reply 'stop' at any time or click the unsubscribe link in the emails. Consent is not a condition of purchase. Msg/data rates may apply. Msg frequency varies. Privacy Policy.

Do not fill in this field:

This site is protected by reCAPTCHA and the Google Privacy Policy and Terms of Service apply.